| Glastonbury Plat Maps |
|
Original and Official 1982 Glastonbury Certificate of Survey Maps and Data
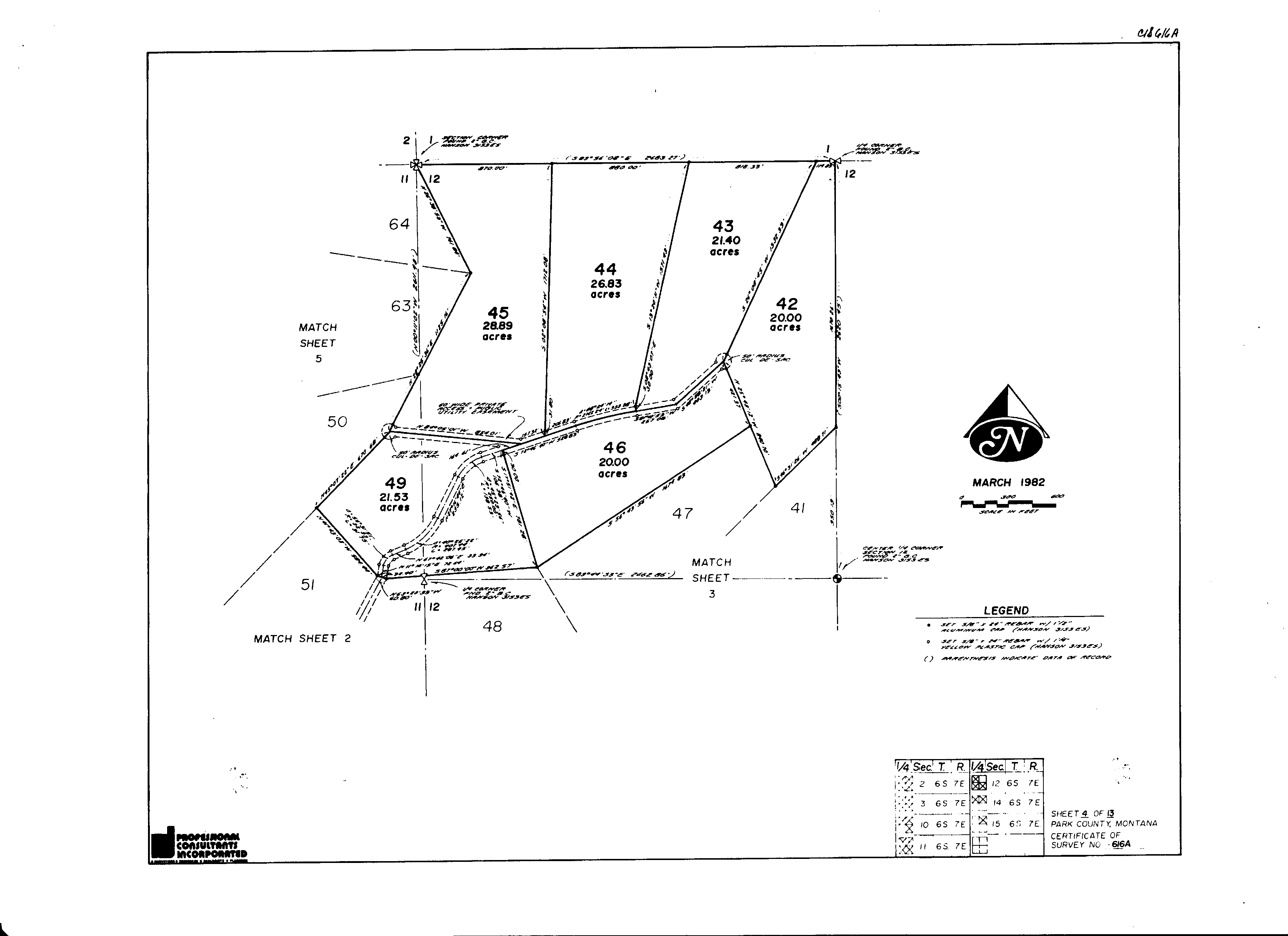
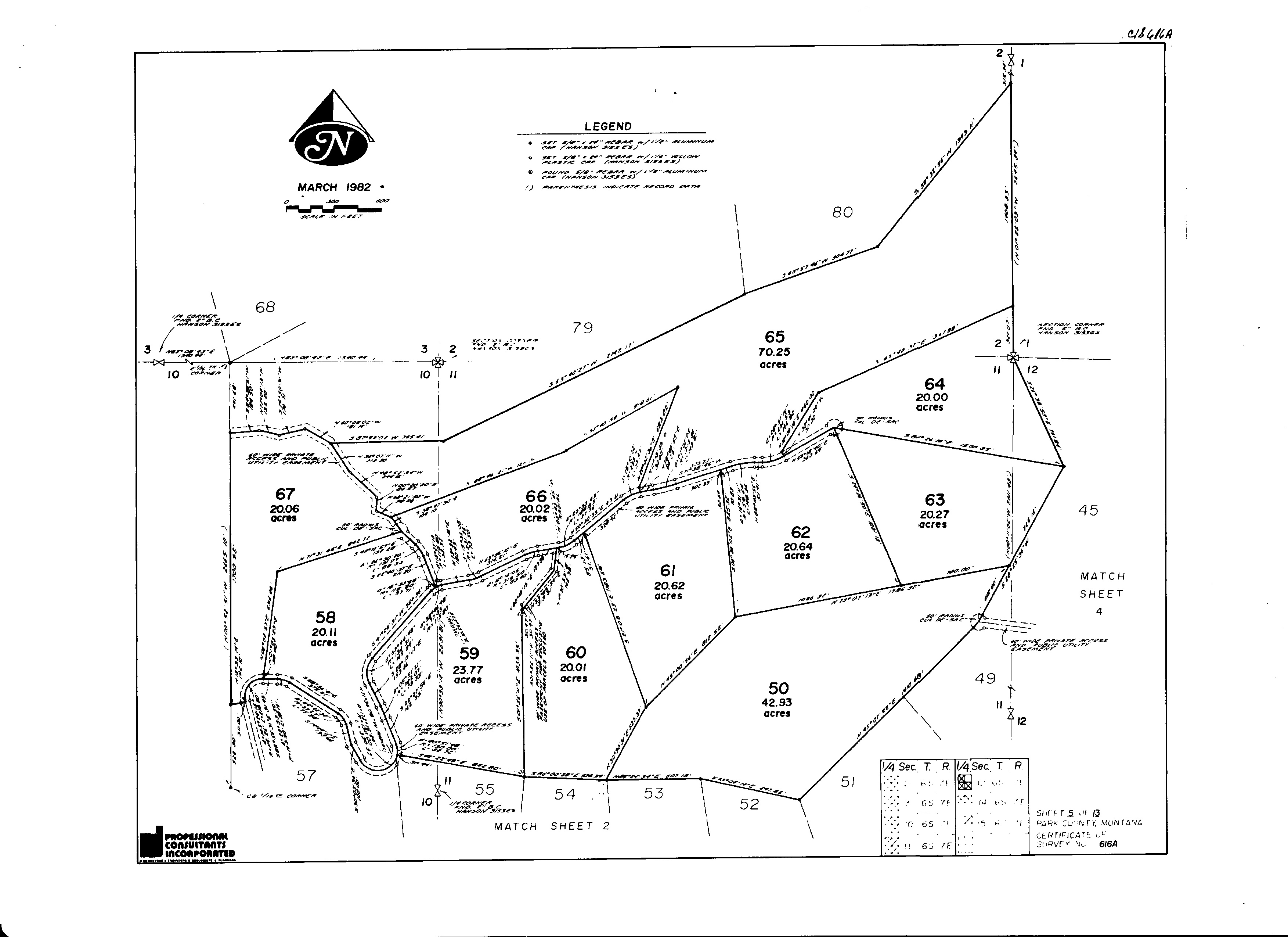
Below are links to high resolution Certificate of Survey maps of North and South Glastonbury. Click on the link to open a map in a new browser window. Click on the map in your browser window to magnify it. Use the side and bottom window bars to move the magnified map around in your browser window. Data sheets contain text descriptions for every parcel. Need a paper copy? Visit Staples or any good copy shop and they should be able to download the map image and photocopy it to a large sheet of paper. Original Glastonbury platted roads are depicted as dotted line easements. These maps are on file with Park County and are the official record for Glastonbury. Scanned copies are courtesy of Leo Keeler. North Glastonbury - Map - Parcels 1 to 15 and 28 to 33 North Glastonbury - Map - Parcels 17 to 23 North Glastonbury - Map - Parcels 34 to 37 and 59 to 70 North Glastonbury - Map - Parcels 24 to 27, 38 to 41 and 56 to 58 North Glastonbury - Map - Parcels 42 to 55 North Glastonbury - Data - Sheet 1 North Glastonbury - Data - Sheet 2 North Glastonbury - Data - Sheet 3 South Glastonbury - Map - Parcels 1 to 17 and 23 South Glastonbury - Map - Parcels 18 to 27 and 48 to 57 South Glastonbury - Map - Parcels 28 to 41 and 47 South Glastonbury - Map - Parcels 42 to 46 and 49 South Glastonbury - Map - Parcel 50 and 59 to 67 South Glastonbury - Map - Parcel 68, 74 to 80 and 102 South Glastonbury - Map - Parcels 81 to 88 South Glastonbury - Map - Parcels 89 to 93 and 96 South Glastonbury - Map - Parcels 69 to 73, 94, 95 and 97 to 101 South Glastonbury - Data - Sheet 10 South Glastonbury - Data - Sheet 11 South Glastonbury - Data - Sheet 12 South Glastonbury - Data - Sheet 13 |